Biosonic logo with the tagline "Nature Speaks. We Translate."

How it works in 5 steps

The problem before BioSonic:

For years, bat AutoID was built on shortcuts:

“If sound is above 50 kHz and loud → pygmaeus.”
That works in a lab…

The problem is in Nature where bats feed🦟socialize 💬, overlap and noise enters the recording (like crickets 🦗)

Bats don’t follow rules.
Old AutoIDs do.

Following is the 5 steps used to build BioSonic.

  1. The Insight

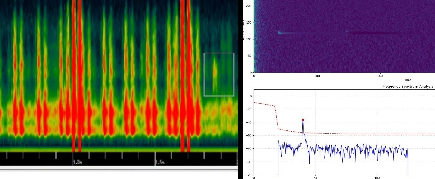
Bat Experts look 👀at Spectrograms for species identification,
so we asked a simple question:

“Why shouldn’t AI work the same way?”

2. How BioSonic built the world leading AI analysis of bat calls:

AI that sees spectrograms 👀

We built our custom image-recognition AI model trained specifically for bat spectrograms.

Same method humans use.

Just faster. And consistent.

with AI Expertise from Cambridge University.

3. Training data: 14 Bat Workers, 2.5M Bat Files

BioSonics AI is trained on 2 500 000 bat files from 12 bat experts in Northern Europe. Then validated again by 2 bat workers to ensure highest quality.

4. Made for lightning fast review by bat consultants


In the analysis below the AI found 11 000 soprano pipistrelle (74%) , which happens often. Also Noise files are often >70% of all files.

BioSonic moves most calls out of the way automatically, so consultants can focus on reviewing what matters, usually

  • Pond bat, natters, parti colored

  • Faint calls (Barbastelle, Brown long-eared)

  • Rare & strange social calls

5. Automating graphs, maps & Tables 📈

Since it’s 2026 we obviously automate the graphs & maps:
⬇️One click download into your environmental report.

Anything missing? write me and we’ll add it:
josef.carlson@biosonic.se

Hundreds of Bat Workers at organizations like these save time today with BioSonic

Close-up of the word 'COW!' written in large, bold, orange letters on a black background.
Four icons representing nature conservation and ecology: a plant, a coral reef, a person with a net, and a turtle shell, with the words 'Co-ecology'.
Logo for automated Biocoustic with red and gray text
The logo of Netflix featuring the word 'NETFLIX' in bold red uppercase letters.
Logo with connected orange and green circles forming a cluster and the word TYPÉNS written next to it.
A person planting a tree in a park with green grass and trees, under a clear sky
Logo with a green square containing a white letter B, next to the text 'enviro planning' in black letters.
Circular logo with the text 'NLABT' arranged around a central 'A'. Beyond the circle is a black background.
Logo for Naturcentrum AB with a bee graphic.
Blue oval logo with the text "DMR" in black letters inside.
A person taking a mirror selfie in a bathroom, holding a phone with a patterned case, wearing a black top, with a towel hanging nearby.
Colorful text that reads 'Battle' and 'Med.' with a dark background.
Ramboll logo with the word 'Ramboll' in black letters inside a blue rounded rectangle, with a stylized clock hand replacing the letter 'O'.
Logo with green globe and red, purple, and black text reading 'Pro Natural'
Logo of Zoogdiervereniging featuring a stylized orange and white salamander.

Are you ready to listen analyse bats files faster?